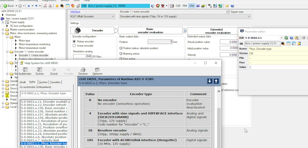
We have a MAD130 motor with C0 encoder connected to ctrlX drive.Â
MAD130C-0150-SA-C0-AP0-05-N1
XCS2-W0100ABN-01NETT0ECNN-S03RSN2NNNN0NN
MAD130C-0150-SA-C0-BP0-35-N1
XMS2-W0100ANN-01NETT0ECNN-S03RSN2NNNN0NN
Â
We find problems switching from CM to PM. We had problems, switched over to simulation mode but it still didn't work.Â
Â
C1111 Incorrect encoder 1 parameterization (mechanics)
C0120 Coupled command C11 error ->S-0-0021
C1108 Encoder Basic: Error during encoder initialization XG21.x.y
Â
We checked all settings. Cable is RKG0074 for the correct pinout.
We did a Firmware udate from AXS-V-0306 to AXS-V-0308. Now the system works in simulation mode ! So in this firmware there are additions in this case. But the test with real equipment is still failing.Â
Does ctrlX AXS-V-0308 works with "C0" 1Vpp encoders of the MAD motor ?
Â
Â